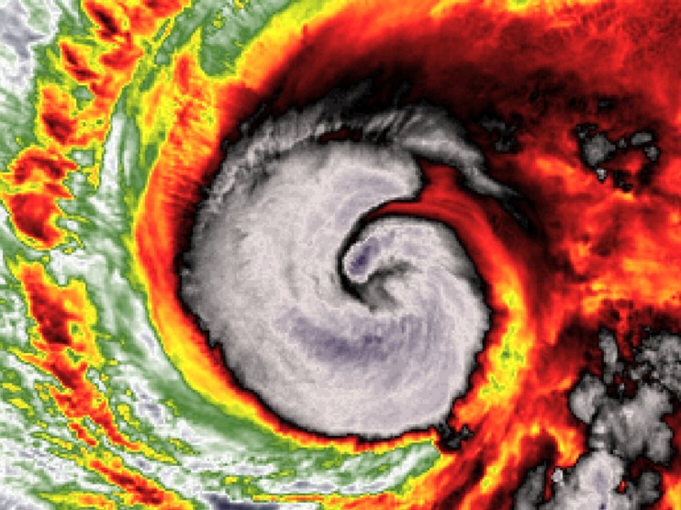
Η τροπική καταιγίδα Μελίσα, που έχει ήδη προκαλέσει τέσσερις θανάτους στη νήσο Εσπανιόλα στην Καραϊβική, μετατράπηκε χθες Σάββατο σε κυκλώνα και αναμένεται να ενισχυθεί περαιτέρω καθώς πλησιάζει την Τζαμάικα, σύμφωνα με το Αμερικανικό Κέντρο Κυκλώνων και Τυφώνων (NHC).

Το NHC ανακοίνωσε μέσω X ότι η Μελίσα έχει ανέμους μέγιστης ταχύτητας 120 χιλιομέτρων την ώρα και προειδοποίησε για πιθανή «ταχεία» ενίσχυση, με στόχο να γίνει «μείζων κυκλώνας» μέσα στη σημερινή ημέρα.

Το ακραίο φαινόμενο έχει ήδη στοιχίσει τη ζωή σε τρεις ανθρώπους στην Αϊτή και έναν ακόμη στη Δομινικανή Δημοκρατία, όπου οι αρχές κήρυξαν αγνοούμενο έναν έφηβο.

«Το νερό πλημμύρισε πάνω από το μισό σπίτι», είπε η Ανχελίτα Φρανσίσκο, 66χρονη νοικοκυρά που ζει στο Σάντο Ντομίνγκο, την πρωτεύουσα της Δομινικανής Δημοκρατίας. «Νιώθαμε ανίσχυροι, δεν υπήρχε τίποτα που μπορούσαμε να κάνουμε, πέρα από το να φύγουμε, να τα αφήσουμε όλα πίσω», πρόσθεσε με λυγμούς.

Εννιά από τις 31 επαρχίες της χώρας κηρύχτηκαν σε κόκκινο συναγερμό εξαιτίας του κινδύνου ξαφνικών πλημμυρών και κατολισθήσεων.

Η Μελίσα κινείται προς την κατεύθυνση της Τζαμάικας. Αναμένεται να πλήξει τη νήσο για μέρες, προτού κινηθεί προς βορρά κι απειλήσει την Κούβα.

Το NHC προβλέπει σφοδρούς ανέμους, ισχυρές βροχές, ξαφνικές πλημμύρες και κατολισθήσεις στην Τζαμάικα και στην Αϊτή.

Ο πληθυσμός της νοτιοδυτικής Αϊτής πρέπει να αρχίσει «αμέσως τις απαραίτητες προετοιμασίες για να προστατεύσει τη ζωή και το βιός του», προειδοποίησε το κέντρο, σημειώνοντας ότι ο κυκλώνας μπορεί να «προκαλέσει μεγάλες ζημιές σε υποδομές και δυνητικά να απομονώσει κοινότητες για παρατεταμένη περίοδο».

Ο τζαμαϊκανός πρωθυπουργός Άντριου Χόλνες κάλεσε προχθές Παρασκευή τους κατοίκους περιοχών όπου υπάρχει κίνδυνος πλημμυρών να παρακολουθούν συνεχώς τα προειδοποιητικά δελτία και να είναι προετοιμασμένοι να εγκαταλείψουν εσπευσμένα τα σπίτια τους.

Οι βροχές που οφείλονται στη Μελίσα ήδη βύθισαν κάτω από νερά δρόμους στην πρωτεύουσα Κίνγκστον, κατά οπτικό υλικό που μεταδόθηκε από ΜΜΕ της Τζαμάικας.

Η Μελίσα ήταν η 13η τροπική καταιγίδα της περιόδου εκδήλωσης φαινομένων αυτής της φύσης (αρχές Ιουνίου – τέλη Νοεμβρίου) στον Ατλαντικό.

Ο προηγούμενος ισχυρός κυκλώνας που είχε πλήξει την Τζαμάικα ήταν ο Μπέριλ, στις αρχές του Ιουλίου του 2024. Απρόσμενα ισχυρός για τον συγκεκριμένο μήνα της περιόδου, άφησε πίσω τουλάχιστον τέσσερις νεκρούς στη νήσο.

protothema.gr